Otros (exsoluciones, zonaciones, inclusiones...)

Las exsoluciones (o desmezclas), son transformaciones de un mineral en dos de composición diferente, de forma que el minoritario aparece creciendo en el interior del mayoritario. El proceso consiste en que un mineral de composición AB da lugar a dos minerales diferentes, Mineral A + Mineral B, generalmente por procesos de cambio en las condiciones de temperatura (no confundir con los procesos de alteración). Un ejemplo muy común son las pertitas, exsoluciones de plagioclasa en el interior de un feldespato potásico.


Las zonaciones, son cambios en las propiedades de un mineral (color, etc), desde el centro hacia el borde del grano, normalmente, debidas a variaciones composicionales. En algunos casos las zonaciones solo se observan por los cambios en el color de interferencia, (p. ej. presencia de zonaciones complejas en plagioclasa).


Una inclusión es un mineral, generalmente, de pequeño tamaño que aparece en el interior de otro mineral formado posteriormente. Pueden ser interesantes cuando son muy numerosas, están orientadas según direcciones concretas del mineral o de suficiente tamaño como para ser identificadas.

Lamelas de exsolución tipo pertita en microclina. Polarizadores cruzados.

Lado mayor de la imagen = 6.5 mm

Micropertitas (exsoluciones de plagioclasa sódica) en un feldespato potásico tipo microclina. Polarizadores cruzados.

Lado mayor de la imagen = 1.6 mm

Lamelas de exsolución tipo pertita en microclina. Polarizadores cruzados.

Lado mayor de la imagen = 11.5 mm

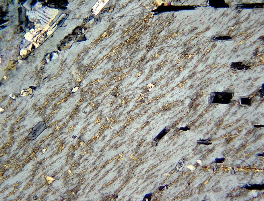
Micropertitas en un feldespato tipo microclina. Polarizadores cruzados.

Lado mayor de la imagen = 4.7 mm

Exsoluciones de clinopiroxeno en un ortopiroxeno tipo enstatita. Polarizadores cruzados.

Lado mayor de la imagen = 4.2 mm

Lamelas de exsolución (de ortopiroxeno y pigeonita ?) tipo “herringbone” en clinopiroxenos tipo augita. Polarizadores cruzados.

Lado mayor de la imagen = 4 mm

Zonaciones concéntricas en un cristal automorfo de augita. Luz polarizada plana.

Lado mayor de la imagen = 3.2 mm

Augita automorfa mostrando zonación composicional concéntrica en bandas finas y zonado en reloj de arena “hour glass”. Polarizadores cruzados.

Lado mayor de la imagen = 4 mm

Zonaciones concéntricas automorfas en plagioclasa. Polarizadores cruzados.

Lado mayor de la imagen = 5.2 mm

Zonaciones de color concéntricas y complejas en un cristal automorfo de turmalina (sección perpendicular al eje ternario). Luz polarizada plana.

Lado mayor de la imagen = 0.9 mm

Inclusiones de pequeños cristales de zircón (con el halo negro característico) en un cristal de biotita. Luz polarizada plana.

Lado mayor de la imagen = 3.2 mm