Exfoliaciones y fracturas

Las exfoliaciones son discontinuidades, paralelas y rectas que aparecen como líneas sombreadas en el interior del mineral. Están condicionadas por la estructura interna (cristalina) del mineral y son características de este. Puede haber uno o más sistemas de exfoliación y se describen con términos como: perfecta, buena, pobre, fina, discontinua, etc.


La fracturas son discontinuidades que no son características del mineral y que dependen de condiciones externas (como deformaciones tectónicas, etc). Se pueden describir cuando son muy abundantes o presentan alguna característica especial (como estar rellenas de otros minerales, favorecer la alteración,...).

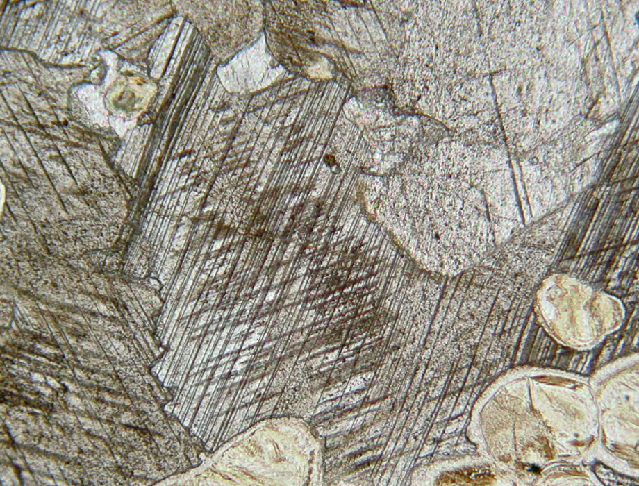
Exfoliación perfecta de los filosilicatos (en cristales de biotita). Luz polarizada plana.

Lado mayor de la imagen = 2.8 mm

Dos sistemas de exfoliación formando 56º entre sí característicos de las secciones basales de los anfíboles (cristal automorfo de hornblenda). Luz polarizada plana.

Lado mayor de la imagen = 4.2 mm

Varios sistemas de exfoliación, dos más marcados (formando 87º entre sí) y otro oblicuo más fino y continuo, en una sección basal de un ortopiroxeno. Luz polarizada plana.

Lado mayor de la imagen = 2.4 mm

Dos sistemas de exfoliación perpendiculares (prismáticos) en un cristal de andalucita. Luz polarizada plana.

Lado mayor de la imagen = 4 mm

Dos sistemas de exfoliación romboédrica típica de los carbonatos (calcita). Luz polarizada plana.

Lado mayor de la imagen = 1 mm

Diferente aspecto de la exfoliación (piroxeno). Podemos identificar dos sistemas de exfoliación, uno o ninguno, dependiendo de la orientación del grano

 Lado mayor de la imagen = 2 mm

Fracturas irregulares en varios cristales de olivino. Luz polarizada plana.

Lado mayor de la imagen = 5 mm

Fracturas en un grano xenomorfo de granate. Luz polarizada plana.

Lado mayor de la imagen = 2.7 mm